管理人のブログ      むし屋 10月(その5) 2025年


逆川へご招待| 行事 | サケ情報 |  ホタル情報 | 写真館 | 管理人のブログ | 魚道


 

むし屋表紙 | R7年 | | | | | | | | | | |

 

2025年10月(その4)へ戻る      2025年10月(その6)へ進む

 

10月28日

 

アケビコノハ ヤガ科

 

偕楽園公園 ボックスカルバートの内壁

 

成虫越冬です。

 

虫好き少女が探しているので、この個体がで来年春に産卵してくれたらうれしいナ。

 

とりあえず、確保しておきますネ。

10月27日

 

昨日と違って雲ひとつない快晴で、暑いぐらいです。

 

水戸市森林公園を歩いてきました。

 

 

ノウタケ ホコリタケ科

 

可食です。食べる気になりますか?

 

ソフトボール大の球体で大きいです。

 

これは若いキノコで老キノコになると表面が脳みそのようにシワシワになるようです。

 

キノコ採りをしていたご夫婦に教えていただきました。

 

ホコリタケ ホコリタケ科

 

可食です。食べる気になりますか?

 

直径3cmのピンポン玉ぐらいです。

 

天辺に孔が開き、ここから胞子を飛ばします。

 

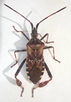
マツヘリカメムシ ヘリカメムシ科

 

成虫は年中見られ、成虫越冬です。

 

幼虫、成虫ともマツ類につき、新芽、若いマツボックリなどから吸汁する森林害虫です。

 

外来種です。

 

今日は駐車場に隣接するアカマツ林の下草刈をしていたので、ここから飛び出したのでしょう。

 

駐車していた車のボデイに2匹も止っていました。

 

掴んだら臭い臭いを出すやつでした。

 

クロコノマ タテハチョウ科

 

まわりに溶け込むように止っていて、近づくと急に飛び立ちます。

 

毎年、晩秋に見かけるようになりますが、今日もたくさん見かけました。

 

我が家の庭にジュズ玉が植えてあるので産卵にこないかなあ・・・

10月26日(日)

 

『第10回 水戸黄門漫遊マラソン』 ボランティアです。(雨天決行。)

 

今年も第5関門担当です。交通規制が掛かっているので、担当場所まで車で行くのは難しいのでチャリで行きました。

 

関門とは、指定時間に通過できないランナーの走行を停止させ、足に付けた計測チップを外し、飲み物を渡してバスに強制収用する仕事です。

 

今回のランナーは14,000人、(内、台湾から400人)、ボランティア3,500人です。上野駅〜水戸駅で5本の臨時特急がはしります。

 

 

優勝者は2時間18分2秒のガンド・ベンジャミンさんでした。

 

おめでとうございます。

 

写真は優勝者がゴールインした約1時間後(12時半)の梅香トンネル付近(39km)です。

 

あと3kmです。トンネルを通り抜け、最後に気象台の過酷な急登がまっています。

10月24日

 

昨日、石岡市の竜神山でのライトトラップを強風であきらめたので、御前山でリベンジです。

 

明日、&、マラソンの明後日も雨予報です。

 

 

御前山でのライトトラップ

 

日の入り時間4時54分(水戸)

 

気温13℃(19時)

 

山中です。もうはいません。

 

点灯、5時〜7時半まで

 

ズボン下を履き、セーターにジャンバーを着込みました。

 

ゴボウトガリヨトウ ヤガ科

 

成虫出現は10月〜11月

 

幼虫食草はタケニグサの茎、ハンゴンソウ、ジャガイモ、ゴボウ、ソラマメなど広食性です。

 

初見です。明るい感じのヤガです。

 

ニジオビベニアツバ ヤガ科

 

成虫出現は6月〜9月、10〜4月の2化

 

幼虫食草はコナラの樹皮や新芽、ヒサカキの蕾、イヌビワの実など。

 

ウスモモイロアツバ ヤガ科

 

成虫出現は6月〜7月、9〜10月の2化

 

ウコンカギバ カギバガ科

 

成虫出現は5〜10月の2化

 

幼虫食樹はシラカシ、アラカシ、コナラ、クヌギなど。

 

今晩、一番多く集まりました。

 

フタテンシロカギバ カギバガ科

 

成虫出現は4〜9月の2化

 

幼虫食樹はミズキ、クマノミズキなど。

 

キマダラオオナミシャク シャクガ科

 

成虫出現は6〜11月の3化

 

幼虫食草は蔓植物のイワガラミ、マタタビ、サルナシなど。

 

ヤマトエダシャク シャクガ科

 

成虫出現は6〜7月、8月〜9月の2化

 

幼虫食樹はウラジロガシ、アラカシ、クヌギなど。

 

ウスキツバメエダシャク シャクガ科

 

成虫出現は5〜7月、9月〜11月の2化

 

幼虫食樹はブナ科、ニレ科、マメ科など広食性です。

 

ナカウスエダシャク シャクガ科

 

成虫出現は3〜11月の3化

 

幼虫食樹はマツ科、ツツジ科などです。

 

普通種です。

 

マメノメイガ ツトガ科

 

成虫出現は7〜11月

 

幼虫食草はダイズなどマメ科です。

 

普通種です。たくさんきました。

 

マエジロマルハキバガ マルハキバガ科

 

成虫出現は3〜4月、7〜11月の年2化

 

幼虫食樹はミズナラですが、この付近にミズナラはないのでコナラかもしれません。

 

チャオビコケガ ヒトリガ科

 

成虫出現は7〜8月、9〜10月の年2化

 

幼虫食草は地衣類です。

 

虫友が教えてくれました。

 


 

2025年10月(その4)へ戻る      2025年10月(その6)へ進む